Moradia V4 em uma localização espetacular com vista panorâmica do mar

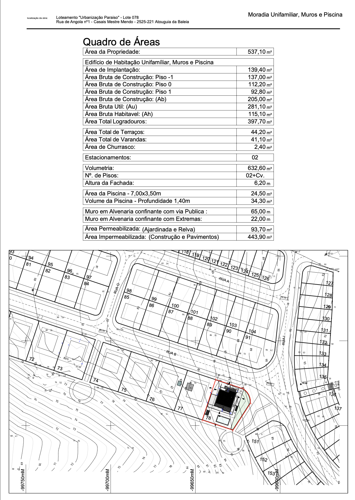
205 m² construídos | V4 | 3 casa de banho | Lote de 537 m² | Terraço | Varanda | Garagem | Piscina

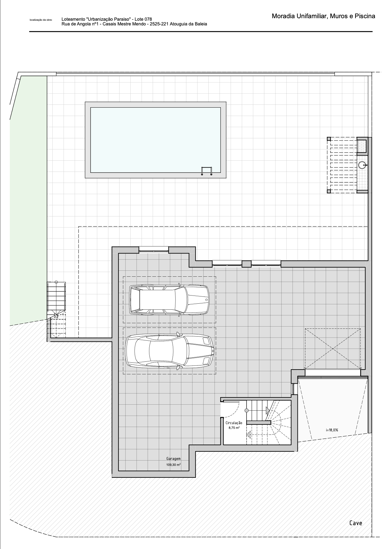
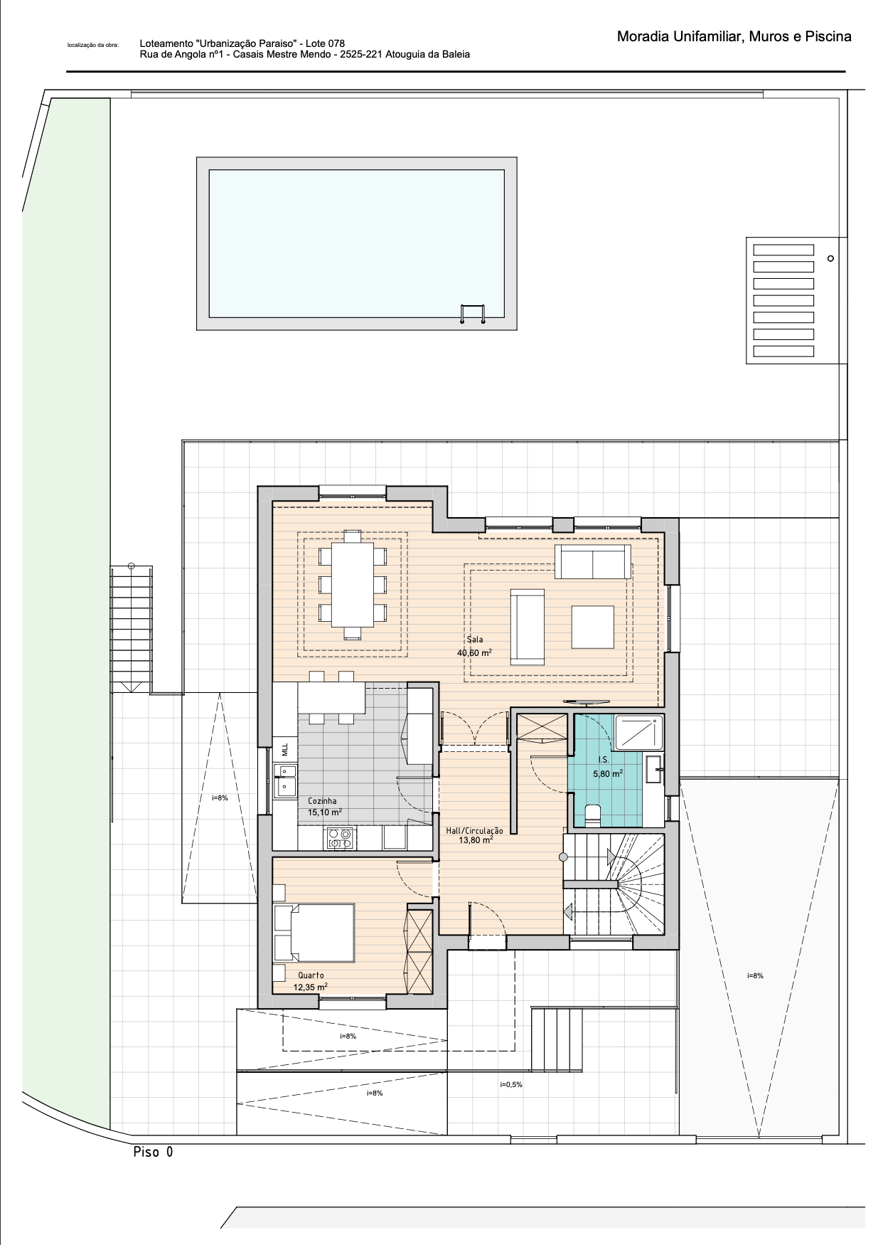
Composta por 3 pisos. Cave com garagem e acesso à piscina e jardim, sendo o R/C composto por 1 quarto, 1 banheiro, cozinha, despensa, sala de estar e jantar, churrasqueira e piscina.

O primeiro andar é composto por 1 suite, 2 quartos, 1 casa banho e varanda com uma vista fantástica do mar.

Excelente localização, numa urbanização tranquila, apenas a 5 minutos de carro das praias do Baleal, a 5 minutos do acesso à auto-estrada A8 e a 50 minutos do Aeroporto de Lisboa.